د. محمد دودح – الباحث العلمي بالهيئة
تساهم ظواهر الطقس بنصيب كبير في الكوارث؛ فقد أودت كوارث الطقس بحياة ثلاثة أرباع المليون شخص خلال الثلاثين سنة الماضية, وضربت على سبيل المثال بنغلادش عام 1972 وراح ضحيتها 220 ألف شخص وضربتها عام 1991 وراح ضحيتها 140 ألف شخص نتيجة الفيضانات التي سببتها, وفي عام 2003 وحده تكبدت أمريكا خسائر بلغت 11 مليار دولار, وإعصار كاترينا الذي حدث في 29 أغسطس 2005 وألحق الدمار بثلاث ولايات أمريكية هى لويزيانا وأريزونا والمسيسيبى يعد الأسوأ في تاريخ أمريكا، فقد أدى إلى نزوح أكثر من مليون شخص وأضر بصناعة النفط وبلغ عدد المنكوبين والضحايا الآلاف وأعقبه إعصار ريتا ويتوقع المزيد، وطبقاً لتسجيلات موسم الأعاصير في منطقة الأطلنطي الذي يمتد بين شهري يونيو ونوفمبر لا تكون بالغة الشدة غالبا, ولكن مع تغير المناخ تزايد معدل حدوثها واشتدت قوتها فبدت الأحداث هذا الموسم وكأنها حرب تأديبية قاسية تكتسح جنودها من الأعاصير والطوفان الشواطئ الأمريكية بلا مقاومة, ونتيجة لانتشار الفوضى وأعمال السلب والنهب عقب إعصار كاترينا اضطرت الحكومة الأمريكية لإرسال 40 ألف جندي إلى المناطق المنكوبة واسترجعت 300 طيار من مهمات بالخارج وقبلت مساعدات دول نامية كسيريلانكا,
وكأن الأعاصير تقول وهي تزمجر مخلفة الخراب خلفها: "لا يمتنع من قدر الله تعالى أحد حتى ولو كان أكبر دولة في العالم", فلم تفلح الدول المتقدمة في منع الأعاصير رغم نجاحها في رصدها بالأقمار الصناعية قبل وصولها, وهكذا تنبه الكوارث الإنسان من حين لآخر بالقدرة على سلب نعم تحيطه وتذكره بعجزه أمام قدر لا يملك دفعه وبخراب أكبر وهول أعظم أنذر به الأنبياء, فقشرة الأرض تحت قدميه تطفو فوق بحر هائج يغلي بالحمم التي تذيب حرارتها أصلب الصخور, وتترصد به في الفضاء أرتال كالطير الأبابيل لترجمه بحجارة قد لا يدانيها أعتى سلاح صنعه بشر, وقد تنقلب النعمة محنة ويصبح الجو عماد الحياة هو نفسه مصدر الكارثة فيزمجر بالأعاصير وأمثالها من جند الخفاء, وهكذا تتلاحق النذر مع كل نازلة لتعلن عن تدبير قوة أكبر لا يعجزها شيء ومشيئة أعظم لا يدفعها احتياط بشر, وتعجب أن يصرح القرآن الكريم أن الريح يمكنها تدمير العمران في وقت لا يعرف عربي عن قدراتها شيئا كما نعلم اليوم, يقول العلي القدير: "فَأَمّا عَادٌ فَاسْتَكْبَرُواْ فِي الأرْضِ بِغَيْرِ الْحَقّ وَقَالُواْ مَنْ أَشَدّ مِنّا قُوّةً أَوَلَمْ يَرَوْاْ أَنّ اللّهَ الّذِي خَلَقَهُمْ هُوَ أَشَدّ مِنْهُمْ قُوّةً وَكَانُواْ بِآيَاتِنَا يَجْحَدُونَ. فَأَرْسَلْنَا عَلَيْهِمْ رِيحاً صَرْصَراً فِيَ أَيّامٍ نّحِسَاتٍ لّنُذِيقَهُمْ عَذَابَ الْخِزْيِ فِي الْحَيَاةِ الدّنْيَا وَلَعَذَابُ الاَخِرَةِ أَخْزَىَ وَهُمْ لاَ يُنصَرُونَ" (فصلت :15و16).
المحن تذكر بالنعم:
لا يدري الصحيح البدن عادة بقيمة صحته حتى يذوق المرض, وبالمثل لا يستشعر الإنسان بقيمة ما منحه الله تعالى من نعم حتى تصيبه الكوارث, والغلاف الجوي من أعظم نعم الله تعالى التي ميزت الأرض وجعلتها مؤهلة لنشأة الحياة قبل مجيء الإنسان, وهو يتكون من نطق على النحو التالي: 1- نطاق التغيرات الجوية أو الطبقة المناخية Troposphere: يتراوح سمكه من 6 إلى 18 كم (5 ميل عند القطبين و11 ميل عند خط الاستواء) ويبلغ متوسط ارتفاعه 11 كم فوق مستوى سطح البحر, ويقل ضغط الهواء ودرجة الحرارة كلما ارتفعنا لأعلى, وتصل درجة الحرارة إلى ستين درجة مئوية تحت الصفر في قمة النطاق, ويحوي 85 % من كتلة الغلاف الجوي، ويتركب أساسا من النتروجين (78 %) والأكسجين الضروري للحياة (21 %) وغيرهما من الغازات بنسب ضئيلة, وتنشأ فيه الظروف الجوية المختلفة من رياح وسحاب ومطر ورعد وبرق. 
2- الطبقة فوق المناخية Stratosphere: يبلغ ارتفاعها50 كم فوق مستوى سطح البحر, وتحوي ما بين ارتفاع 20 و 30 كم طبقة الأوزون اللازمة لامتصاص الأشعة فوق البنفسجية الضارة بالأحياء, ولولا طبقة الأوزون لأصبحت الحياة مستحيلة على الأرض, وتخترق الشهب والنيازك هذا النطاق, وينخفض الضغط الجوي حتى يصل إلى 0.01 ضغط جوي عند قمة النطاق. 3- النطاق المتوسط Mesosphere: يعلو إلى حوالي 85 كم (50-85 كم), وتبلغ درجة الحرارة أعلاه حوالي 90 درجة مئوية تحت الصفر. 4- النطاق الحراري Thermosphere: يبلغ ارتفاعه حوالي 600 كم (85-700 كم) وترتفع فيه درجة الحرارة ويوجد به نطاق التأين Ionosphere عند ارتفاع 400كم, ودوره أساسي في الاتصالات اللاسلكية لأنه يعكس موجات الراديو. 5- النطاق الخارجي Exosphere: أعلى طبقة في الجو ويبلغ ارتفاعه حوالي 1000 كم فوق مستوى سطح البحر, ويتكون الهواء غالبا من الغازات الخفيفة مثل الأيدروجين والهيليوم وكثافته في غاية الضآلة, 6- نطاق الغلاف المغناطيسي Magnetosphere: يمتد إلى مسافة 50000 كم, ويوجد به زوج من الأحزمة المغناطيسية يزداد سمكها عند خط الاستواء ويقل عند القطبين, ويقع الحزام الداخلي على ارتفاع حوالي 2000 كم فوق مستوى سطح البحر, وهو يقوم بدور الحماية من الرياح الشمسية ويمثل مصيدة للجسيمات الذرية عالية الطاقة القادمة من الفضاء الخارجي, وبدون تلك السنن المقدرة ما نشأت على الأرض حياة. 
وفي قوله تعالى: "وَجَعَلْنَا السَّمَاء سَقْفًا مَّحْفُوظًا وَهُمْ عَنْ آيَاتِهَا مُعْرِضُونَ" (الأنبياء :32)؛ يستقيم أن يدل تعبير السقف المحفوظ علي الجو لأنه يماثل بالفعل سقفا يمنع الأخطار القادمة من فوقه إلا أن يشاء الله تعالى, وهو أيضا محفوظ من التبدد بخلاف حاله عند تكونه كما هو حال القمر حاليا حيث تبدد جوه كله فأصبح بلا سقف يحميه, وهذه الخصائص قد أثبتتها الأبحاث العلمية مؤخرا؛ فالجو الذي يحيط بالأرض يؤدي وظائف ضرورية لاستمرار الحياة على الأرض ويدمر الكثير من النيازك ويمنع معظمها من السقوط على سطح الأرض وتدمير الكائنات الحية, والملفت للنظر أن الغلاف الجوي لا يسمح بالمرور إلا للإشعاعات غير الضارة مثل أشعة الضوء, ويكفي أنه يحمي أهل الأرض من برد الفضاء الذي يصل إلى 270 درجة مئوية تحت الصفر, والأحزمة المغناطيسية بمثابة درع يقي من خطر الرياح الشمسية التي تهدد الأحياء على الكوكب, ولولا وجود الغلاف الجوي لسقطت ملايين النيازك على الأرض وقضت على الحياة, ومن الجائز أن نهاية الديناصورات منذ حوالي 65 مليون سنة ترجع إلى دخان لف الأرض عقب سقوط نيزكي كبير فحجب ضوء الشمس وأخل بالتمثيل الضوئي للنبات وقضى على معظم الأحياء, وباختصار فإن هناك نظاماً متكاملاً يعمل فوق الأرض ولا نشاهده يحمينا من التهديدات الخارجية في صمت ولم يعرف أحد بوجوده إلا مؤخراً ولكن الله سبحانه وتعالى قد أخبرنا به منذ قرون عدة كما أخبرنا بحقائق لم يدركها بشر قبل عصر العلم لتكون عبرة للواعين وموعظة تنبه الغافلين أن القرآن وحي من عند رب العالمين.
نظم الرياح:
الرياح هواء متحرّك, وقد تهب الرياح بلُطف أو قد تهب بسرعة وعُنف لدرجة تجعلها تدمر المباني وتقتلع الأشجار الكبيرة من جذورها, والرياح القوية يمكنها أن تضرب سطح المحيط وتولد أمواجا عاتية يمكن أن تحطم السفن وتغمر الأرض لتحطم المنشآت على الشاطئ, وبإمكان الرياح كعامل مؤثر من عوامل التعرية أن تُبلي الصخر وتغير ملامح الأرض على المدى الطويل, والرياح جزء من الطقس؛ فاليوم الحار الرطب قد يتحول فجأة إلى بارد إذا ما هبّت الرياح من منطقة باردة, والسحب المُحَمَّلة بالمطر والبرق قد تتكون حيث يلتقي الهواء البارد بالهواء الحار الرطب, وتُسمى الرياح وفقًا للاتجاه الذي تهب منه فعلى سبيل المثال تهب الرياح الشرقية من الشرق إلى الغرب والرياح الشمالية تهب من الشمال إلى الجنوب, وتحدث الرياح نتيجة التسخين غير المتساوي للغلاف الجوي عن طريق الطاقة المنبعثة من الشمس, فالهواء الذي يعلو المناطق الحارة يتمدد ويرتفع ويحل محله هواء من المناطق الأبرد, وتسمى هذه العملية دورة, وتسمى الدورة فوق الأرض بكاملها بالدورة العامة بينما تسمى الدورات النسبية الصغرى والتي يمكن أن تتسبب في حدوث تغيرات في الرياح يومًا بعد يوم بالدورات النسبية الشاملة للرياح أما الرياح التي من الممكن أن تحدث في مكان واحد فقط فإنها تُسمّى الرِّياح المحليَّة.
وتحدث الدورة العامة للرياح فوق قطاعات كبيرة من سطح الأرض، وتُسمّى هذه الرياح الرياح السائدة, وتتنوع هذه الرياح باختلاف خط العرض؛ فبالقرب من خط الاستواء يرتفع الهواء الساخن إلى ما يقرب من 18 كم فيتحرك الهواء الأبرد ليحل محل الهواء المرتفع في نطاقين من الرياح السائدة, ويقع هذان النطاقان بين خط الاستواء وخطيّ عرض 30° شمالاً وجنوباً وتُسمّى الرياح في هذه المناطق بالرياح التجارية, وسبب التسمية اعتماد التجار عليها قديما في إبحار السفن التجارية, ولا تهب الرياح التجارية في اتجاه عمودي تماما على خط الاستواء بسبب حركة الأرض حول نفسها نحو الشرق ومعها الغلاف الجوي، وتجر حركة الأرض الجو معها فيتأخر عنها مما يدفع الهواء المتحرك غربا في كل من الشمال والجنوب, ويعود بعض الهواء الذي ارتفع عند خط الاستواء إلى سطح الأرض بين خطي عرض 30° شمالاً وجنوبًا من خط الاستواء فتضعف الرياح عند الحزامين لأن حركة الريح رأسية نحو الأسفل, ويقال أن سبب تسمية تلك المناطق بعروض الخيل هو أن عددًا كبيرًا من الخيول قد نَفَقَتْ على ظهر السفن الشراعية التي توقفت عن الحركة فيها بسبب شدة ضعف الرياح.
وقد صنف فرانسيس بوفورت Francis Beaufort (1774-1857) عام 1805 الرياح تبعا لشدتها وتأثيرها على السفن الشراعية إلى درجات, ثم عدل الجدول لاحقا وفقا لسرعة الريح والتأثيرات على اليابسة, ووفقا لمقياس بيفورت المتدرج Beaufort's Scale المعتمد لدى المنظمة العالمية للأرصاد الجوية World Meteorological Organization وجد بعض الباحثين أنه يلتقي مع تصنيفات الريح التي ذكرها القرآن على النحو التالي: درجة صفر: هواء هادئ Calm سرعته دون 2 كم/ساعة ويكون البحر كالمرآة ويقابلها قوله تعالى: "إِن يَشَأْ يُسْكِنِ الرِّيحَ فَيَظْلَلْنَ رَوَاكِدَ عَلَى ظَهْرِهِ" (الشورى:33), ودرجة 1: ريح خفيف Light air سرعته 2-7 كم/ساعة, ويقابلها قوله تعالى: "فَسَخَّرْنَا لَهُ الرِّيحَ تَجْرِي بِأَمْرِهِ رُخَاء حَيْثُ أَصَابَ"(ص: 36).
ودرجة 2: نسيم خفيف Light breeze سرعته 7-13 كم/ساعة ويمكن الإحساس به على الوجه والشعور بحفيف ورق الشجر, ودرجة 3: نسيم لطيف Gentle breeze سرعته 13-20 كم/ساعة ويجعل أوراق الشجر تتحرك والأعلام ترفرف, ويقابلان قوله تعالى: "حَتَّى إِذَا كُنتُمْ فِي الْفُلْكِ وَجَرَيْنَ بِهِم بِرِيحٍ طَيِّبَةٍ" (يونس:22 ), ودرجة 4: نسيم معتدل Moderate breeze سرعته 20-32 كم/ساعة ويجعل الأغصان الصغيرة تتمايل, ويلتقي مع قوله تعالى: "وَأَرْسَلْنَا الرِّيَاحَ لَوَاقِحَ" (الحجر:22), وقوله تعالى: "وَمِنْ آيَاتِهِ أَن يُرْسِلَ الرِّيَاحَ مُبَشِّرَاتٍ وَلِيُذِيقَكُم مِّن رَّحْمَتِهِ" (الروم: 46), ودرجة 5: نسيم منعش Fresh breeze سرعته 32-41 كم/ساعة ويجعل الأشجار الصغيرة تتمايل, ويقابلها قوله تعالى "كَرَمَادٍ اشْتَدَّتْ بِهِ الرِّيحُ فِي يَوْمٍ عَاصِفٍ" (إبراهيم :18), ودرجة 6: نسيم قوي Strong breeze سرعته 41-52 كم/ساعة ويجعل الأغصان الكبيرة تتمايل, ودرجة 7: دون الهبوب Near gale سرعته 52-63 كم/ساعة ويكاد يجعل السير صعبا في مواجهته, ويقابلهما قوله تعالى: "فَيُرْسِلَ عَلَيْكُمْ قَاصِفا مِّنَ الرِّيحِ" (الإسراء :69), ودرجة 8: هبوب Gale سرعته 63-76 كم/ساعة ويصعب السير في مواجهته, ودرجة 9: هبوب قوي Strong gale سرعته 76-89 كم/ساعة يجعل الألواح الخشبية تتطاير, ويقابلهما قوله تعالى: "جَاءتْهَا رِيحٌ عَاصِفٌ وَجَاءهُمُ الْمَوْجُ مِن كُلِّ مَكَانٍ" (يونس :22), ودرجة 10: عاصفة Storm سرعتها 89-104 كم/ساعة تقتلع الأشجار وتتلف بعض المباني, ودرجة 11: عاصفة عنيفة Violent storm سرعتها 104-119 كم/ساعة تسبب تلف شديد للمباني, ويقابلهما قوله تعالى: "وَأَمَا عَادٌ فَأُهْلِكُواْ بِرِيحٍ صَرْصَرٍ عَاتِيَةٍ. سَخّرَهَا عَلَيْهِمْ سَبْعَ لَيَالٍ وَثَمَانِيَةَ أَيّامٍ حُسُوماً فَتَرَى الْقَوْمَ فِيهَا صَرْعَىَ كَأَنّهُمْ أَعْجَازُ نَخْلٍ خَاوِيَةٍ" (الحاقة :6و7), وهذه المدة بالفعل أقصى ما يتوقع في المنطقة الواحدة, ودرجة 12: إعصار Hurricane سرعته تزيد عن 119 كم/ساعة يسبب دمار متباين الشدة تبعا لسرعته وربما حرائق, ويقابله قوله تعالى: "فأصابها إعصار فيه نار فاحترقت" (البقرة :266), ولا يصدر هذا التوافق العجيب بين التقسيم العلمي المعاصر للرياح وبين أنواعها التي ذكرها القرآن إلا عن وحي خاصة أن هذا التنويع مع بيان خصائص كل نوع وفق شدته وآثاره لا تجده في أي كتاب آخر يُنسب للوحي غير هذا الكتاب الكريم.
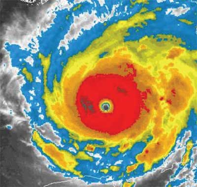
الأعاصير:
الإعصار رياح شديدة دوارة وسطها منخفض الضغط وقد تمتد أطرافها لتصل إلى 800 كيلومتر ويصل ارتفاعها إلى 16 كيلومتر وقد تجمع عدة سحب رعدية ممطرة, ورغم أن السرعة قد تصل عند أطرافها إلى مئات الكيلومترات في الساعة لكن المركز المسمى عين الإعصار يظل في غاية الهدوء ويخلو من السحب, وعندما يتحرك الإعصار فوق مياه المحيطات فإن سرعة الريح عند الأطراف تؤثر على حركة المياه فتنشأ الأمواج العالية المدمرة التي قد يصل ارتفاعها إلى عدة أمتار, وتتكون الأعاصير بسبب التسخين غير المتساوي للهواء وماء
المحيطات في المناطق الاستوائية وعند صعود الهواء المتخلخل والمشبع بالماء إلى أعلى تديره التيارات العلوية كدوران الماء عند نزوله من فتحة حوض غسيل الأيدي, وكلما مر بمنطقة بحرية دافئة تغذيه يزداد قوة ولكن عند مروره باليابسة فإنه يفقد بعض من قوته مقابل ما يلحق بتلك المنطقة من أضرار, وهكذا ينشأ الإعصار كمنخفض جوي Depression يدفع الهواء حوله للدوران بسرعة متزايدة, وعندما تزيد سرعة الريح عن 119 كيلومتر في الساعة يطلق عليها اسم إعصار, ويسمى إعصار منطقة الأطلنطي محليا باسم هاريكان Hurricane باسم إله الأعاصير في معتقد الهنود الحمر, ويسمى إعصار المحيط الهادي سيكلون Cyclone وهي كلمة إغريقية الأصل تعني رياح دوارة, ويسمى إعصار الجزء الغربي من المحيط الهادي بالقرب من الفلبين والصين وبنغلادش تيفون Typhoon وأصلها كلمة "طوفان" العربية, والأعاصير الرعدية Thunderstorms من أشد الأعاصير قوة ويصاحبها برق ورعد لأن السحب المشحونة كهربيا تدخل في تكوينها, وقد تصدر تلك الأعاصير صواعق تزيد من شدة المأساة بإشعال الحرائق ومضاعفة الدمار, وتتفق تلك المعرفة الحديثة مع قوله تعالى: "فأصابها إعصار فيه نار فاحترقت",
ووفق مقياس سافير سيمسون Saffir-Simpson تقسم الأعاصير إلى 5 درجات تبعا لسرعة الريح عند طرف الإعصار؛ الفئة الأولى من 119 إلى 153 كم في الساعة, والثانية من 154 إلى 177 كم في الساعة, والثالثة من 178 إلى 209 كم في الساعة, والرابعة من 210 إلى 249 كم في الساعة, والفئة الخامسة تشمل 250 كم في الساعة وما زاد عليها, والأعاصير التي تضرب منطقة الكاريبي وسواحل أمريكا تنشأ في معظمها عند السواحل الغربية لأفريقيا بالقرب من خط الاستواء وأيضا بمنطقة الكاريبي بسبب تسخين المحيطات, وينطلق الإعصار من مناطق تكونه في المحيطات بسرعة غالبا دون 30 كم في الساعة ليهاجم اليابسة وينشر الخراب والدمار, ومتوسط عمره حوالي عشرة أيام تقريبا وقد يستمر نشطا لمدة ثلاثة أسابيع إلا أنه بسبب حركته المستمرة لا يؤثر على منطقة واحدة إلا لمدة يوم أو يومين في أغلب الأحيان, ومن أجل أن يتكون الإعصار يلزم ألا تقل درجة حرارة مياه المحيط عن 26.5 درجة مئوية لعمق لا يقل عن 50 مترًا مع توفر رياح سطحية رافعة ورياح قوية في أعالي الجو تدير الإعصار, ومع حركة الأرض ينشأ عن ذلك التفاف للرياح عكس اتجاه عقارب الساعة وتحرّك الإعصار من الشرق إلى الغرب في نصف الكرة الأرضية الشمالي, ودورانه بالعكس مع اتجاه عقارب الساعة وتحركه من الغرب إلى الشرق في النصف الجنوبي وفقا لما يعرف باسم تأثير كوريولس Coriolis Effect.
ونتيجة لتزايد درجة حرارة الكوكب بسبب تراكم المخلفات الصناعية بالجو خاصة ثاني أكسيد الكربون يتوقع أن تزداد الأعاصير, وأول من بدأ بتسمية العواصف كان عالم أرصاد أسترالي إذ كان يسمي هذه العواصف بأسماء سياسيين لا يحبهم, واعتبارا من عام 1953 أعطيت أسماء مؤنثة للأعاصير ربما تمنيا أن تكون هادئة قليلة الشراسة, ونظرا لكثرة الأعاصير شرق الولايات المتحدة اعتمد المركز الوطني للأعاصير في ميامي قائمة أسماء للتمييز يعاد استخدامها كل ست سنوات, وابتداء من عام 1979 تم تطبيق نظام الأسماء المذكرة والمؤنثة بالتناوب بحيث يتبع كل اسم مؤنث باسم مذكر, ولذا فقد أعلن هذا العام عن إعصار إملي Emily وهو اسم مؤنث بعد إعصار دينيس Dennis وهو اسم مذكر، والإعصار القادم سيعطى اسم فرانكلين Franklin, وقد سبق إعصار دينيس ثلاثة أعاصير أخرى هذا العام لم تشتهر وهي أرلين Arlene وبرت Bret وسيندي Cindy, وفي القائمة لهذا العام 2005 رصيد لتسميات أخرى عديدة جاهزة تحت الطلب (Gert Harvey, Irene, Jose, Katrina, Lee, Maria, Nate, Ophelia, Philippe, Rita, Stan, Tammy, Vince, Wilma,), وقد تحذف بعض الأسماء في حالة تسببها في أضرار كبيرة, فمثلا لن تسمى أي عاصفة بعد اليوم باسم أندرو Andrew أو هيوجو Hugo لأنهما من بين الأعاصير الأكثر تخريبا ودمارا, فإعصار أندرو وحده الذي كانت سرعة رياحه حوالي 281 كم/الساعة قد تسبب عام 1992 في خسائر فادحة للولايات المتحدة الأمريكية.
وإذا كان الساحل الغربي لأمريكا خاصة مدينة سان فرانسيسكو في انتظار زلازل مدمرة بحذاء صدع سان أندرياس San Andreas Rift والشمال والوسط مهدد بثوران بركان يلوستونYellowstone , فإن الشرق والجنوب تاريخه أيضا مفعم بالكوارث التي تسببها الأعاصير, ففي عام 1900 ضرب إعصار جالفستون تكساس وقتل 8 ألاف شخص, وفي عام 1915 تعرضت نيواورليانز أكبر مدن لويزيانا لضربة إعصار خلفت 275 قتيلا, وفي عام 1919 استهدف إعصار فلوريدا وتكساس وقتل 287 شخصا, وفي عام 1928 لقي نحو 2500 شخص حتفهم في فلوريدا في إعصار أثار أمواجا هائلة, وفي عام 1935 وقع إعصار يوم عيد العمال واكتسح فلوريدا وخلف 408 قتلى, وفي عام 1954 ضرب الإعصار هازيل كارولينا الشمالية وكارولينا الجنوبية فقتل 95 شخصا, وفي عام 1957 ضرب إعصار أودري جنوب غرب لويزيانا وتكساس فقتل 390 شخصا, وفي عام 1961 ضرب إعصار كارلا تكساس وقتل 46 شخصا, وفي عام 1965 تلقت نيواورليانز ضربة من الإعصار بيتسي فغمر المدينة بالمياه والوحل وقتل 75 شخصا, وفي عام 1969 قتل إعصار كاميللي 256 شخصا في مسيسيبي وفرجينيا ولويزيانا, وفي عام 1972 قتل إعصار إجنس 122 شخصا عندما ضرب فلوريدا وتحرك نحو شمال شرق أمريكا, وفي عام 1989 اكتسح إعصار هوجو كارولينا الجنوبية وقتل 32 شخصا, وفي عام 1992 شق إعصار أندرو طريقه عبر ولايتي فلوريدا ولويزيانا تاركا 29 قتيلا ومسببا دمارا هائلا وخسائر مادية فادحة، وفي عام 2004 ضرب إعصار إيفان ولايتي فلوريدا وألاباما فقتل 25 شخصا وسانده إعصار تشارلي بقتل 23 شخصا آخرين.
وسجل إعصار "نانسي" في شمال غرب المحيط الهادي في 12 سبتمبر عام 1961 أكبر سرعة حيث بلغت رياحه 342 كم/الساعة, وسجل إعصار "تب" في نفس المنطقة في أكتوبر عام 1979 أكبر امتداد حيث بلغ نصف قطره 1100كم, بينما سجل إعصار "تريسي" بأستراليا في ديسمبر عام 1974 أقل امتداد حيث بلغ نصف قطره 50 كيلومترًا فقط, وسجل إعصار "باثرست باي" بأستراليا عام 1899 أعلى موجة حيث بلغ ارتفاعها 13 مترا, وسجل إعصار "جون" في شهري أغسطس وسبتمبر عام 1994 أطول عمرا حيث استمر لمدة 31 يوما, وسجل إعصار بنجلادش عام 1970 أكبر خسارة بشرية حيث بلغت الوفيات حوالي 300 ألف وفاة على أقل تقدير, بينما سجل إعصار "أندرو" عام 1992 والذي أصاب جزر ألباهاما وولايتي فلوريدا ولويزيانا الأمريكيتين أكبر خسارة مادية حيث بلغت حوالي 26.5 بليون دولار أمريكي.
وقد بدأت الحكومة الأمريكية عام 1962 في القيام بأبحاث حول إمكانية إيقاف الأعاصير قبل وصولها إلى اليابسة إلا أن المشروع قد توقف عام 1983 دون التوصل إلى أية نتائج, وقد رأى عالم أمريكي يسمى "هيوولوبي" أنه بالإمكان إيقافها بإحراق كميات من البترول قريبا منها لتطلق السخام الأسود وبسبب لونه الأسود يقوم بامتصاص حرارة الشمس وتكوين تيارات صاعدة تعطل سير الإعصار, أو بوضع مرآة ضخمة في الفضاء تعكس أشعة الشمس عليه لتقوم بنفس المهمة, إلا أن كل تلك الأفكار لم تجد حيزاً للتنفيذ حتى الآن وما زالت الأعاصير الحلزونية تدور؛ وتدور معها رحى الخسائر.
التيارات النفاثة:
اكتشف حديثا ما يسمي بالرياح النفاثة Jet Stream على ارتفاعات عالية في الجو متموجة الشكل, وعندما تتكون تلك التيارات فإن العاصفة تتبعها عند التقاء كتل هوائية باردة وأخرى ساخنة, وفي قوله تعالى: "وَالْمُرْسَلَاتِ عُرْفًا. فَالْعَاصِفَاتِ عَصْفًا. وَالنَّاشِرَاتِ نَشْرًا. فَالْفَارِقَاتِ فَرْقًا" (المرسلات :1 - 4)؛ العرف في الأصل هو عرف الفرس أو الديك وهو متموج الشكل، ويسمي كل مرتفع عرفا كما في قوله تعالى: "وَعَلَى الأَعْرَافِ رِجَالٌ" (الأعراف :46), ومن وجوه التفسير أن "َالْمُرْسَلَاتِ عُرْفًا" وصف لرياح ترسل متتابعة وأن "فالعاصفات عصفا" وصف آخر يتبع الأول للرياح, ورأى بعض الباحثين أنهما يلتقيان مع الرياح النفاثة وتأثيرها في نشأة الأعاصير الدوارة؛ فالأول وصف لشكلها المتموج والثاني بيان لتأثيرها الدوار على رياح أقرب لسطح الأرض تجعلها عواصف دوارة أو أعاصير، ولكن المدهش أن وصف الرياح المتموجة بكلمة "عُرْفًا" وبيان دورها في نشأة الأعاصير يتضمن خلاصة كشف علمي لم يعرفه الباحثون إلا حديثا جدا.
الاحتباس الحراري:
كشفت دراسة حديثة أن عدد الأعاصير المدمرة مثل كاترينا وأندرو قد تزايد خلال العقود القليلة الماضية وعزت سبب هذا التزايد إلى ظاهرة الاحتباس الحراري, كما بينت أن عدد الأعاصير الشديدة قد ارتفع من 11 إعصارا سنويا إبان السبعينيات إلى 19 إعصارا منذ العام 1990, واستنادا للمبدأ القائل بأن المحيطات هي سبب التغيرات المناخية التي تحدث على اليابسة قال بيتر وبستر من معهد جورجيا للتكنولوجيا أن بخار الماء الناتج من ارتفاع درجة حرارة مياه المحيطات هو بمثابة الوقود الذي يعجل من سرعة الأعاصير, وأعلن أن معدل درجة حرارة مياه أسطح البحار قد ارتفعت درجة مئوية بين العامين 1970 و2004, وحذر غريغ هولاند من المركز القومي لأبحاث المناخ بأن من المحتمل أن تشهد السنوات المقبلة تزايدا في أعاصير تشبه في خطورتها وقوتها الإعصار كاترينا والإعصار أندرو, وأجمع الباحثون على أن ارتفاع درجات الحرارة على أسطح البحار سببها الاحتباس الحراري, ولاحظوا أن 171 إعصارا شديدا قد ضربت المنطقة شرق الولايات المتحدة الأمريكية بين عامي 1975 و1989 وأن العدد ارتفع إلى 269 في الفترة الممتدة من عام 1990 إلى عام 2004, وقد اعترفت كذلك أكاديمية العلوم الوطنية الأمريكية بوجود علاقة بين النشاط البشرى الذي يؤدى إلى انبعاث غاز ثاني أكسيد الكربون وبين ظاهرة الانحباس الحراري وما تسببه من آثار مدمرة للبيئة, وأصدرت كل من وزارتي الطاقة والتجارة الأمريكيتين تقريراً مشتركاً يتضمن اعترفاً صريحا بالأضرار التي يمكن أن تلحق بكوكب الأرض بسبب الاحتباس الحراري, وتشكل أوربا واليابان وأمريكا الشمالية مجتمعة ما يقرب من 15 % من سكان العالم إلا أنهم مسئولون عن حوالي ثلثي (66 %) غاز ثاني أكسيد الكربون الذي تطلقه المصانع, وأما الولايات المتحدة الأمريكية التي لا يزيد عدد سكانها عن 5 % من سكان العالم فهي مسئولة وحدها عن ربع تلك الكمية (25 %), أي أن أقل من 20 % من سكان العالم يتسببون في إطلاق أكثر من 90 % منها, ولكن العواقب الوخيمة تنال الكل على حد سواء ولا تميز بين من أطلقها ومن لم يطلقها.
وإذا ارتفعت درجة حرارة الكوكب نتيجة لتراكم مخلفات المصانع خاصة في البلدان المتقدمة تلك فمن المحتمل أن تزداد حرارة سطح المحيطات في المناطق الاستوائية فتتضاعف الأعاصير وتزداد عنفا وضراوة ويذوب جليد القطبين ويرتفع مستوى سطح البحر ليدمر مدن الشواطئ، وقد أصبح تركيز ثاني أكسيد الكربون في الجو حاليا أعلى بحوالي 32 % مما كان عليه قبل بداية الثورة الصناعية حوالي عام 1750, وقد تضاعفت موجات الحر في معظم بلدان العالم في أواخر القرن العشرين بما لم يسبق له مثيل طوال الألفية الماضية, ووفقا لسجلات المنظمة العالمية للأرصاد الجوية شهد عام 2003 موجة حر قاسية, وشهد عام 2002 موجة حر أشد قسوة, وأما موجة الحر عام 1998 فلم يشهدها صيف خلال السنوات الألف الماضية منذ عام 1861, ويقدر معدل ارتفاع درجة الحرارة في الفترة منذ عام 1976 حتى عام 2005 بثلاثة أمثال معدله للسنوات المائة الماضية, ووفقا لتقرير اللجنة الدولية للتغييرات المناخية التابعة للأمم المتحدة قد ارتفع مستوى مياه البحار من 9 إلى 21 سم (0.3-0.7 قدم) في مقابل ارتفاع في درجة الحرارة يتراوح بين 0.4 إلى 0.8 درجة مئوية, واعتبر ذلك أعلى ارتفاع لدرجة الحرارة تعرض له كوكب الأرض منذ ألف عام مما ينذر بتوالي الكوارث بنسق متصاعد.
ويتوقع الخبراء أن يزداد ارتفاع سطح البحر إلى 88 سنتمتراً بحلول عام 2100 الأمر الذي يهدد حياة 100 مليون إنسان يعيشون على أراضي منخفضة, ناهيك عن تزايد الإصابة ببعض الأمراض كالملاريا نتيجة لتزايد تكاثر البعوض الناقل لها في الجو الحار, وقد نبهت هذه التحذيرات الدول للتداعي إلى الاجتماع في محاولة لتجنب الخطر من خلال اتفاقيات ملزمة كان أبرزها معاهدة كيوتو Kyoto Protocol الذي وافقت عليه كل الدول الصناعية الكبرى إلا الولايات المتحدة الأمريكية ذات المسئولية الأعظم في تخريب المناخ, ولكن مع توالي الأعاصير وتزايد عنفها يوما بعد آخر يدفع سكانها الأبرياء الثمن, وكل ذي حس إنساني تؤلمه المشاهد المروعة يواسي المنكوبين وينتظر غد تتكاتف فيه أيدي الجنس البشري جميعا للعيش بسلام وبناء عالم يخلو من العنصرية والأطماع والهيمنة والاستكبار, ويأمل على الأقل اليوم أن يُستجاب لتحذيرات الخبراء, والعجيب أن تلك التحذيرات تتفق تماما مع ما سبق وقرره القرآن من أن الفساد في البر والبحر قد ينجم عن النشاط البشري في قوله تعالى: "ظَهَرَ الْفَسَادُ فِي الْبَرّ وَالْبَحْرِ بِمَا كَسَبَتْ أَيْدِي النّاسِ لِيُذِيقَهُمْ بَعْضَ الّذِي عَمِلُواْ لَعَلّهُمْ يَرْجِعُونَ" (الروم : 41).
المراجع:
· Oxford illustrated Encyclopedia.
· Encyclopedia Britannica.
· Encarta Encyclopedia.
· Internet.



